+34 600 075 507

info@yourhomes24.es

Freixeiro (Narón)

64.400 €
Ref: S070023
Descripción

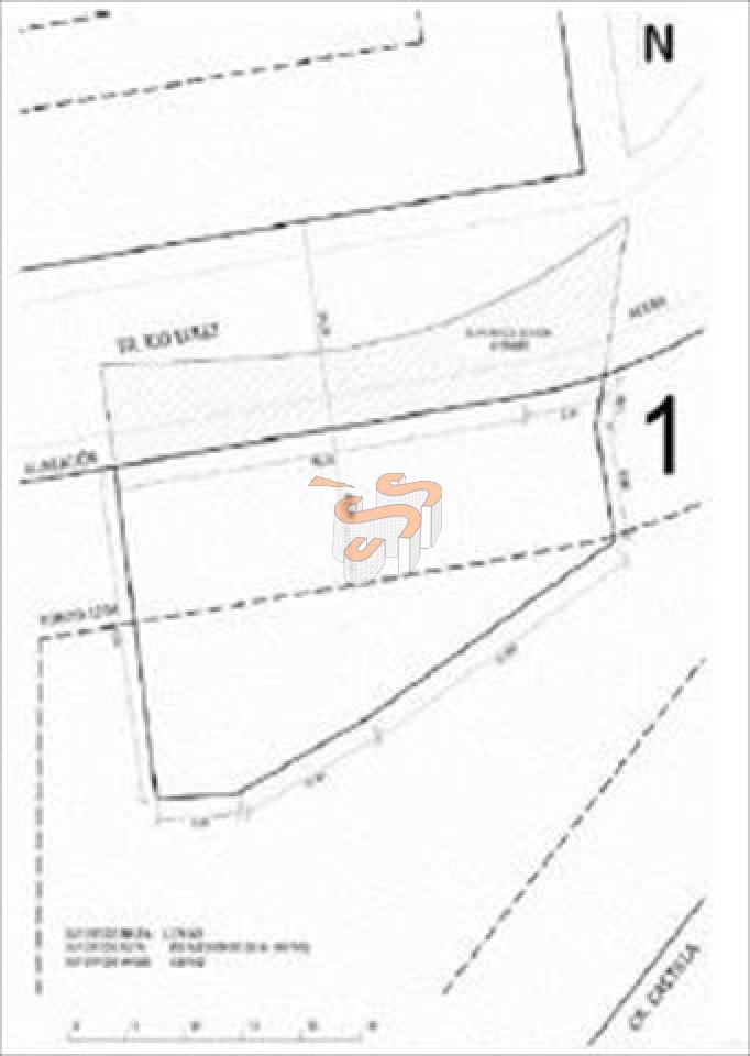
Cod S070023 Freixeiro. Suelo urbano consolidado. Calificación: residencial. Uso principal: residencial colectiva. Superficie catastral: 1.444,00 m². Superficie registral: 1.182,00 m².
Altura permitida b+3+bc (13m). Bajo cubierta vinculada con la planta inferior. Edificabilidad estimada: 2.413,00 m² t.

Información
1182 m²
Edificable:
Otras Características
Metros Edificables: 855
Alturas Edificables: 5
Registrada:
Agua Traida:
Luz:
Orientación: Sin especificar